3次元CADを使わずにドローン(UAV)による空撮から土量計算まで大林組の造成現場を効率化したTREND-POINT

大林組の造成現場では、UAV(無人機)による現場の空撮から3D点群データ作成、そして土量計算までを、3次元CADなしで行えるシステムを導入しました。これまでの常識では考えられないワークフローを可能にしたのが、福井コンピュータの3D点群処理システム「TREND-POINT」です。
現場の土木技術者だけで3D土量計算
「これまでの土量計算は地上を移動して測量する作業が必要だったため4人で7日間かかっていました。それがUAVによる空撮写真から3D点群データを作り、そのデータを福井コンピュータのTREND-POINTに読み込んで土量計算を行う方法に変えたところ、2人で1日に効率化できました。つまり28人工が2人工に大幅削減されたわけです」と大林組土木本部本部長室 情報企画課長の杉浦伸哉氏は語ります。
2012年2月から、独自にCIM(コンストラクション・インフォメーション・モデリング)の取り組みを行っている大林組は、「判断の迅速化」「施工の効率化」「工期短縮とコスト削減」という3つのCIM活用原則を忠実に実践しています。
「現場の技術者は施工管理が最も大事な仕事なので、なかなか3次元CADを習得する余裕はありません。TREND-POINTは点群データを読み込むだけで土量計算や地表面モデルの作成などが行えるので、現場の技術者でも簡単に使いこなすことができます」(杉浦課長)。
3Dモデルを扱うためには3次元CADが必要というのが、これまでの常識でした。しかし、大林組では初めの1~2回だけ本社の技術者が一緒にやるだけで、その後は現場だけでTREND-POINTによる3D土量計算を行っています。つまり、TRENDPOINTは現場での土量計算や施工管理の効率を大幅に高め、3次元CADに代わって3D点群データを現場の技術者全員が活用できるようにするツールなのです。

UAVによる現場の空撮作業

UAVで空撮した写真から3D点群データを作成し、<br>福井コンピュータの「TREND-POINT」で土量計算を行う大林組の現場事務所
UAVで撮った写真を点群データ化
この土量計算を行うためにはまず、UAVで現場上空から高画質な写真を何枚も撮影します。「隣り合う写真同士が6~8割重なり合うように多くの写真を撮影します。例えば約300メートル四方、10ヘクタールの現場は、1回で350枚くらいの写真になります」(杉浦課長)。
これらの写真を点群作成ソフト「AgisoftPhotoScan」に読み込んで処理することにより、X、Y、Zの座標データを持った点の集合体である3D点群データが完成します。
TREND-POINTは、2つの時期に計測された点群データを読み込み、両者間で高さの違いを比べることで土量計算を行います。例えば、以前の点群より上がっている部分が盛り土、下がっている部分が切り土と認識し、それぞれの土量を計算するわけです。
例えば月末ごとにUAVで現場を空撮し、先月末と今月末の3D点群データを作っておけば、これらのデータをTREND-POINTに読み込むだけで1カ月間の盛り土、切り土の量が3次元CADのように計算できるわけです。
「3次元CADに2つの点群データを読み込んで面を張り、差分を取って土量計算した場合と比較してみましたが、差はわずか1%くらいしかありませんでした。TRENDPOINTは使い方が簡単であるにもかかわらず、3次元CADと同様に数億点もの点群データを読み込み、同等の精度で土量計算が行えます」(杉浦課長)。
また、TREND-POINTは3次元CADで描かれた関係形状の図面も、LandXML形式で読み込み、現場の点群データと比較することが可能です。完成形状と現場の現状を重ね合わせてみると、工事の進捗度合いが誰でもスムーズに理解できます。

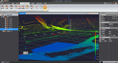
「TREND-POINT」なら2つの点群データを読み込むだけで、<br>切り土量と盛り土量が簡単に計算できるので難しい3次元CADの操作はいらない

造成現場の完成形状(緑色の線)と現場の色付き点群データを重ね合わせて見たところ。工事の進捗をわかりやすく表現できる
点群の“ゴミ”を取り除くフィルタリング機能
空撮写真から作成した点群データには、地表面以外の車両や柵など「ノイズ」と呼ばれる不要なデータが混じっています。点群データの利用には、このノイズを取り除く作業が欠かせません。3次元CADソフトなどに点群データを読み込み、手作業で取り除く方法もありますが、非常に手間ひまのかかる作業となります。
「TREND-POINTには、自動的にノイズを取り除いてくれる様々なフィルタリング機能が用意されているので、作業はとても効率的です」(杉浦課長)。この機能は、3Dレーザースキャナーで計測した点群データにも有効です。例えば、雑草が生い茂る堤防や斜面を3Dレーザースキャナーで計測すると、レーザー光のほとんどは地表面に届かず、雑草の表面形状を測定していることになってしまいます。
しかし、レーザー光のごく一部は、雑草の間をくぐり抜けて地表に到達します。そこでTREND-POINTには「地表面」というコマンドが用意されており、このコマンドをクリックするだけで雑草部分を取り除いた地表面の点群データだけをワンタッチで取り出すことができるのです。
「トンネルの坑口部などの計測には、やはり3Dレーザースキャナーを使います。計測前に草刈りをしなくても、地表面の形状がわかるのはとても便利です」(杉浦課長)。

3Dレーザースキャナーによって現場を計測した点群データ。<br>樹木や柵など地表面以外のものが大量に写っている。点群数は約7000万点もある

地表面だけを抽出した点群データ。点群の数は当初の7000万点から2500万点へと減り、データ量的にも扱いやすくなった
副産物のオルソ画像も施工管理に活用
TREND-POINTで使う点群データを作成する過程で、UAVから撮った航空写真を1枚に結合した「オルソ画像」という画像データが得られます。地表面を垂直に見下ろした地図のようなこの画像も、実は施工管理に大いに役立っています。
「例えば約300メートル四方の現場のオルソ画像を作ると100MB~150MBの非常に大きな画像となります。その閉合誤差は20~30mm、少し精度に気をつければ2~3mmに抑えることもできます。このオルソ画像をCAD図面と重ね合わせることにより、現場の進捗状況が一目瞭然にわかります」(杉浦課長)。
広大な造成現場で、数ミリメートルから数センチの誤差は、実質的にはほぼゼロに等しい精度です。実際、CAD図面とオルソ画像を重ねてみると、図面上の位置を現場に落とし込む「墨出し」や「測設」といった作業の精度まで見えてくるといいます。航空写真には図面に描かれていない仮設材や工事車両、人間なども写っており、現場の状況を余さずに記録する手段として非常に優れているのです。
「トンネル工事の地上部分や、橋梁の取り付け道路部分などの進捗状況を把握するのにオルソ画像はとても役立ちます」(杉浦課長)。

点群データの副産物として得られる高精度のオルソ画像も、施工管理に役立つデータとなる
※2015年発行のCONST-MAGで掲載したものです。役職などは、取材当時のものです。
本例での導入製品(製品ページ)はこちら
お気軽にご相談ください
自社に合う製品が分からない、導入についての詳細が知りたいなど、専任のスタッフが疑問にお応えいたします。まずはお気軽にお問合せください。



